AUDIO: Simon on MTR 1377 with Luke Grant


Simon discusses Tim Flannery’s appointment as “climate commissioner” with Luke Grant. There is an excellent introduction by Luke, and I am on around the 4 minute mark:

This interview is also available on the Media page (see tab top left).

Joke of the Week: Flannery appointed Climate Commissioner


Official government alarmist

Seriously, this is no joke. It’s a savage indictment of our government’s blinkered attitude to climate change:

ENVIRONMENTALIST and former Australian of the Year Tim Flannery has been appointed to a newly-created position as Australia’s climate commissioner.

The well-known global warming activist will chair a panel of six other experts, including scientists and economists.

The commission will work independently of government to advance awareness of climate change issues in the community.

The body was a Labor climate change election commitment, but was overshadowed by the now aborted citizen’s assembly plan. (source)

Seriously, this is a total joke. Andrew Bolt exposes the total, utter idiocy of this appointment here.

ABC stews in fetid warmist juices


Groupthink rules

The bias of the ABC knows no bounds, especially when it comes to climate change. Maurice Newman’s complaint that the organisation displayed “groupthink” on such matters has gone totally unheeded, as is evidenced by a report on severe weather and the link to climate change on last night’s Lateline (link). I’m not even going to bother to review what was said – that, in the circumstances, is wholly unnecessary. All that needs to be considered is the list of contributors:

  1. Tony Jones Presenter of Lateline. Well, we all know Tony’s history on climate. This is the man who felt he had to caveat a broadcast of The Great Global Warming Swindle, and it’s common knowledge that he’s a fully paid-up warmist.
  2. Margot O’Neill O’Neill was the reporter on the piece in question, and we all know her history too. Back in late 2009, she wrote an alarmist blog on the ABC entitled Countdown to Copenhagen, which praised the efforts of the global community to “tackle climate change”, and smeared anyone who challenged the consensus (see here and here).
  3. Matthew England Well known warmist scientist –  see hereherehere and here.
  4. Andy Pitman Well known warmist scientist – see here for a classic Pitman piece.
  5. David Karoly Well known warmist scientist, in fact ACM’s “favourite” warmist scientist, completes the quintet – see here, here, here, here, etc, etc…

Five true climate change believers. Count them. FIVE. So where was the dissenting view for balance? Where was the scientist putting the valid points that nothing we have seen in the last few weeks is in any way unprecedented, and is simply a result of natural weather variation? Where was the scientist showing that flood records and cyclone records have shown no change in frequency or severity in the last 150 years (or if anything a slight decrease in frequency)? Where was the scientist explaining the link between La Niña and the Interdecadal Pacific Oscillation, which resulted in the heavy rainfalls in Queensland? Where was anybody saying anything to question the orthodoxy presented here?

Answer: nowhere to be seen. Because the ABC is infected with the most virulent form of climate groupthink, just as Maurice Newman said. And they haven’t learnt a thing.

Their ABC, paid for by your taxes.

(h/t Graham)

Polar bears "having fewer cubs due to global warming"


Creating the next IPCC report?

Various other commitments means not much going on at Climate Madness Towers today, so I thought I’d post a cuddly polar bear story. You have to hand it to the warmists, they never give up. Even when the general public are sick to the back teeth with hippies banging on about polar bears, they still insist on doing it. Even the bears themselves are sick of it, I expect. From the UK’s moonbat Telegraph and the even moonbattier Louise Gray:

Researchers at the University of Alberta looked at how melting sea ice in the 1990s effected [sic] the breeding success of polar bears.

During the spring and summer months the females are hunting seals on the ice to build up energy for the autumn and winter when they will hibernate for up to eight months and give birth.

The study found the early melting of the ice made it more difficult for the bears to hunt seals successfully and build up energy.

Therefore there is less chance of a successful pregnancy.

In the early 1990s 28 per cent of energy-deprived pregnant polar bears in the Hudson Bay region failed to have even a single cub. (source)

The comments are far more entertaining, like this one from torch12volt:

Time is flying by, the cut and paste queen is at it again, more drivel, still never let the truth get in the way of a very weak story.

Now the Telegraph looks up to Hello as a shining example of quality journalism.

Fires, floods, war, pestilence, famine, death…


Four Horsemen of Global Warming

… and they’re all caused by climate change, of course. Latest natural disaster to be pinned on ManBearPig is the Perth fires. It’s like every year, media hacks get a collective case of sudden amnesia, and forget that Australia has ever had any extreme events before! So when we get bushfires, they’re somehow shocked and surprised! And because it’s so unprecedented (everything is unprecedented if you have the memory of a house-plant), they rush to blame climate change:

Associate Professor Grant Wardell Johnson from Curtin University studies climate change and its effect on the environment. “All the climate change models to south western australia show we’re getting drier and warmer and we are getting more extreme events.” He warns Perth needs to treat the risk of bushfire as if it’s a war, and he says we need to rethink where we live. “In a fire prone environment that we’ve got in South Western Australia, very dangerous to be building in the bush.” (source)

And all this at the same time that the same climate change is being blamed for the floods and cyclones in eastern Australia. I sincerely hope the long-suffering public will, eventually, tire of this nonsense…

Greens vs. Gillard


In the even-redder corner, the Greens!

Grab the popcorn and reserve a front row seat for the political punch-up of the year. The Greens and Labor will go head-to-head over the pointless carbon price, with the miners and the opposition throwing punches from outside the ring. Priceless!

JULIA Gillard and the Greens are on a collision course over the assistance levels for big greenhouse gas emitters in the government’s proposed new carbon pricing regime, as mine companies prepare to combat suggestions Australia is a “laggard” in international efforts to combat climate change.

The Prime Minister pledged not to throw out the “good work” on transitional arrangements for big polluters that was part of Kevin Rudd’s emissions package, but Greens deputy leader Christine Milne warned they would “not pass muster” if the multi-party climate change committee was focused on getting the best result.

The clash came as The Australian learned that resources companies were gearing up to fight what they called “exaggerated claims” about international efforts to combat climate emissions. Fresh from demolishing Mr Rudd’s prime ministership over the mining profits tax, the resources industry is preparing to oppose any carbon pricing scheme seen to be “out in front” of climate change efforts by the nation’s competitors. A briefing to mining executives prepared by the Minerals Council of Australia, obtained by The Australian, warns: “We need to be alert to exaggerated claims about the efforts under way in both developed and developing nations.” (source)

Seconds out, round one. Ding, ding.

Gavinology


Cartoons by Josh

Josh has done a brilliant job of skewering Gavin Schmidt’s discomfort over his recent comments about a debate with sceptics. As Bishop Hill reports:

Fred Pearce is on the receiving end of the full fury of the warmosphere for his article about the Lisbon conference in New Scientist. Pearce, discussing who had agreed to turn up, said this:

But the leaders of mainstream climate science turned down the gig, including NASA’s Gavin Schmidt, who said the science was settled so there was nothing to discuss.

Read the rest here.

Unprecedented Arctic warming?


Arctic ice

Scary stuff apparently – but make sure you read the VERY important note at the end…

The Arctic seems to be warming up. Reports from fishermen, seal hunters, and explorers who sail the seas about Spitsbergen and the eastern Arctic, all point to a radical change in climatic conditions, and hitherto unheard-of high temperatures in that part of the earth’s surface.

The oceanographic observations have, however, been even more interesting. Ice conditions were exceptional. In fact, so little ice has never before been noted. The expedition all but established a record, sailing as far north as 81˚29′ in ice-free water. This is the farthest north ever reached with modern oceanographic apparatus.

The character of the waters of the great polar basin has heretofore been practically unknown. Dr. Hoel reports that he made a section of the Gulf Stream at 81˚ north latitude and took soundings to a depth of 3,100 meters. These show the Gulf Stream very warm, and it could be traced as a surface current till beyond the 81st parallel. The warmth of the waters makes it probable that the favourable ice conditions will continue for some time.

Later a section was taken of the Gulf Stream off Bear Island and off the Isfjord, as well as a section of the cold current that comes down along the west coast of Spitsbergen off the south cape.

Many old landmarks are so changed as to be unrecognisable. Where formerly great masses of ice were found there are now often moraines, accumulations of earth and stones. At many points where glaciers formerly extended far into the sea they have entirely disappeared.

The change in temperature, says Captain Ingebrigtsen has also brought about great change in the flora and fauna of the Arctic. This summer he sought for white fish in Spitsbergen waters. Formerly great shoals of them were found there. This year he saw none, although he visited all the old fishing grounds.

There were few seal in Spitsbergen waters this year, the catch being far under the average. This, however, did not surpnse the captain. He pointed out that formerly the waters about Spitsbergen held an even summer temperature of about 3° Celsius; this year recorded temperatures up to 15°, and last winter the ocean did not freeze over even on the north coast of Spitsbergen.

With the disappearance of white fish and seal has come other life in these waters. This year herring in great shoals were found along the west coast of Spitsbergen, all the way from the fry to the veritable great herring. Shoals of smelt were also met with.

Pretty serious, right? Only trouble is, the report is from 1922.

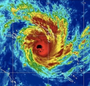
Yasi: media madness


Stirring up the gullible

TC Yasi has brought all the gullible hysterics out of the closet, especially in the Fairfax press, which has had a field day cynically cashing in on the oh-so-obvious link to “climate change”. Mike Carlton first, whose ranting piece oh-so-wittily entitled “Flat earthers [that’s us, by the way – Ed], it’s time for a cold shower”, sums up the idiocy of the warmists who have no concept of Australia’s (or the planet’s) climate history:

PARDON me for pointing out the bleedin’ obvious but for those who have not been paying attention much of the planet has been devastated by extraordinary weather in the past year.

We have had our floods in eastern Australia and, as the doughty Anna Bligh called it, the most terrifying cyclone of all [since the last one, that is – Ed]. Floods have also swept China, India, Pakistan, the Philippines and southern Africa, killing thousands and leaving tens of millions homeless.

Kenya is suffering a long drought that threatens widespread famine. A vast area of South America is also in severe drought, although record January rains in Brazil triggered mud slides that killed more than 700 slum dwellers near Rio de Janeiro.

Massive and unseasonally early snow storms pummelled Europe and North America before Christmas, taking more lives, and this week again the US has been hammered by what the US National Weather Service called ”a historic killer blizzard”.

Given this catalogue of global disaster, would now be a good time for the climate change flat-earthers to shut up and listen, do you think? Just for a day or two, or even five minutes?

They won’t, of course. The global warming denialists ignore the great body of world scientific opinion. When the Queensland catastrophe leaves the headlines the local lot will be at it again, barfing up their crackpot notions. (source)

What more can you say about that? Life is too short. Next up is The Age, or Pravda on the Yarra as it is less than affectionately known, writing a sombre editorial about how we have “created a fierce new climate”, and using the clever trick of claiming that they are not making a link to climate change, and then immediately make a link to climate change!

THE debate has already begun over whether climate change and global warming caused cyclone Yasi, or somehow made it worse. It is an oversimplification. No direct link could ever be proved. This week is likely to see the longest sustained period of temperatures above 30 degrees since records have been kept. Is that proof climate change is happening? By itself, no, it is not. Weather statistics cannot prove a link. But as the government’s adviser on climate change, Ross Garnaut, says, as global warming continues, larger cyclones will become more frequent. There will be more cyclones, and more of them will be as big as Yasi. There will be more long hot spells. Australia has just emerged from a long drought. There will be more of those, too, and longer ones, as weather becomes harsher around the world. The extreme events seen in the past 12 months in Europe and the US will become more common. Even if, as seems rather unlikely now, the world manages to keep the carbon dioxide concentration in the atmosphere below its current target of 450 parts per million, the world’s average temperature will still rise 2 degrees, with untold environmental consequences. (source)

Again, because man-made global warming is the current scare, and because The Age is desperate to push the climate change agenda, it rushes to link it to current events, ignoring the obvious fact that more severe events like this have happened in the past. I guess if they had happened in the early 1970s, The Age would have linked them to global cooling. They always need to blame something – they just don’t understand that as the saying goes “shit happens” and has done so for thousands of years.

Even The Australian isn’t immune:

Meanwhile, as attention returns to the immediate dangers of these natural climatic systems, there is more trouble on the horizon because of global climate change. Scientists stress that a single event such as Yasi cannot be attributed to global warming.

However, Walsh says sea surface temperatures in tropical waters, typically about 27C, will continue to rise, maintaining a 50-year warming trend due to global climate change.

However, air in the upper atmosphere, where temperatures currently reach about -50C, will warm more rapidly, and this will decrease the temperature gradient between the sea and the atmosphere, lessening the frequency of tropical cyclones.

“In the Australian region, the prediction is for a decline in the number of tropical cyclones, but the most intense cyclones are likely to become even more intense,” he says. (source)

So whatever happens, be it more frequent cyclones, less frequent cyclones, more intense cyclones, less intense cyclones, you can be sure of one thing. Man-made climate change is the only explanation. The belief is that climate is static and only man-made influences can possibily change it – the reality is that climate change happens for a whole raft of natural reasons, but those are studiously ignored…

And The Oz also regurgitates an AAP scare piece as well:

QUEENSLANDERS should brace for more ferocious storms and floods in the wake of Cyclone Yasi, climate researchers say.

Warmer temperatures are expected to produce more intense torrential downpours, particularly in the state’s tropical north.

“For Queensland, this is likely to spell storms and floods of increasing ferocity over a greater part of the state,” The Climate Institute says in a fact sheet released today.

The think tank’s chief executive John Connor is calling for urgent measures to arrest global warming as north Queensland recovers from the category five cyclone.

“Sadly, Australia must prepare for more of these types of catastrophic events and even greater extremes as climate change drives more frequent and more intense wild weather,” he said. (source)

The Climate Institute isn’t a think tank, it’s an environmental advocacy group which has made up its mind on climate change, which, like The Age, demonstrates that it has no concept of history, believing that what we have seen in the last few weeks is somehow “unprecedented”.

But the public aren’t buying the hype any more. It’s telling that all five letters in The Australian’s Talking Point are critical of Ross Garnaut’s latest pronouncments:

ROSS Garnaut tells us that climate change has played a large part in the recent extreme weather events in Queensland.

There is nothing to support this scientifically. It is more scaremongering and pressuring for a repressive, controlling carbon tax. Some could equally conclude that the weather events are due to Australia and Queensland having leaders that are openly atheist and are being punished by God.

The proof for either conclusion comes down to personal perception.

And for today’s best rebuttal of all the hysterical Yasi nonsense, head to Andrew Bolt’s column:

IT HADN’T even hit yet, and already a gibbering horde was shrieking that Cyclone Yasi proved we’d warmed the world.

There was Christine Milne, of course, deputy leader of the Greens, the most deceitful party to shame Parliament. How fast she flapped up the microphones to crow: “It is a tragedy of climate change.”

Then there was ABC Melbourne 774 host Jon Faine, snapping that sceptics should finally “join the dots”, and inviting alarmist scientist Graeme Pearman to say we’d never had such cyclones before.

Oh, and here comes John Hewson, the former Liberal leader and sniffer of business opportunities, saying warmists had predicted “more frequent cyclones” and “that’s what we’re seeing”.

John, give up the green, mate. The colour doesn’t suit and that market’s set to tank.

Add to them the Gillard Government’s warming guru, Professor Ross Garnaut (actually an economist), who groaned that “a warming climate does lead to intensification of these sorts of extreme climatic events that we’ve seen in Queensland”, and “you ain’t seen nothing yet”.

Wrong, Ross. We have actually seen all this before, and worse. Nothing new here at all, expect this shameless scare-mongering.

But the trouble is that we no longer remember our past, and that’s what the warmists are exploiting: our deep forgetting.

Read it all.

Garnaut's cynical opportunism


Cynical

Turning up like a bad penny [Wong? – Ed], Ross Garnaut appears at the most inappropriate moment, this time by cynically citing TC Yasi as an example of the more severe weather events which are “consistent with global warming” … or something:

CYCLONE YASI is probably early real-world evidence of scientific predictions that global warming will lead to more extreme weather events, according to the government’s expert climate change adviser, Professor Ross Garnaut. [Who is an economist, by the way – Ed]

He says that if it is, given the evidence that global warming is tracking at the highest end of international predictions, then future cyclones could prove that we ”ain’t seen nothing yet”. [Total, utter, horse shit, as anyone who reads this blog would know. Global temperature anomaly is below zero this month – Ed]

Professor Garnaut said scientists and climate change modelling had predicted global warming would lead to more frequent extreme weather events, including cyclones and bushfires. [Which is why accumulated cyclone energy is at its lowest for 30 years – Ed]

The prediction of more extreme storms already appeared to be verified by data from the north Atlantic. While there was not yet sufficient statistical data to prove more frequent extreme cyclones in Australia, ”there is no reason to think the physics will work differently in Australian air than north Atlantic air”, Professor Garnaut said. ” [Who cares if there’s not enough data, it’s never stopped us before! – Ed]

”I would say the odds seem to favour the proposition that cyclonic events will be more intense in a hotter world and bear in mind … if this is the case we are just at the beginning of the warming process, the warming since pre-industrial times is 1 degree, the science says without mitigation … that first degree is just the beginning, and so if we are seeing an intensification of extreme weather events now, you ain’t seen nothing yet.” (source)

You’re right, we ain’t seen nothin’ yet. We haven’t yet seen a fraction of the hysteria and alarmism from ill-informed commentators and politicians with an agenda to push, who have the memory span of a goldfish and don’t have the intellectual capacity to understand that cyclones have been part of Australia’s climate for thousands of years, like floods and droughts. Total climate madness.

The Australian injects some sanity by quoting the eco-tards who have tried to link Yasi to global warming, and it’s all the usual suspects: ABC, Fairfax, Clive Hamilton… yawn.